A week into our stay in the British Virgin Islands and our initial reservations have been swept away by superb snorkeling in piratical locations, natural adventure playgrounds, relaxed beach clubs with decent food, uncrowded anchorages with perfect beaches, a seemingly inexhaustible supply of rocky coves to be discovered and a marina with beach, reef, sea, pool, wifi.
Now resorting to a marina for a couple of days to replenish our more or less exhausted provisions. With any luck the best is yet to come.






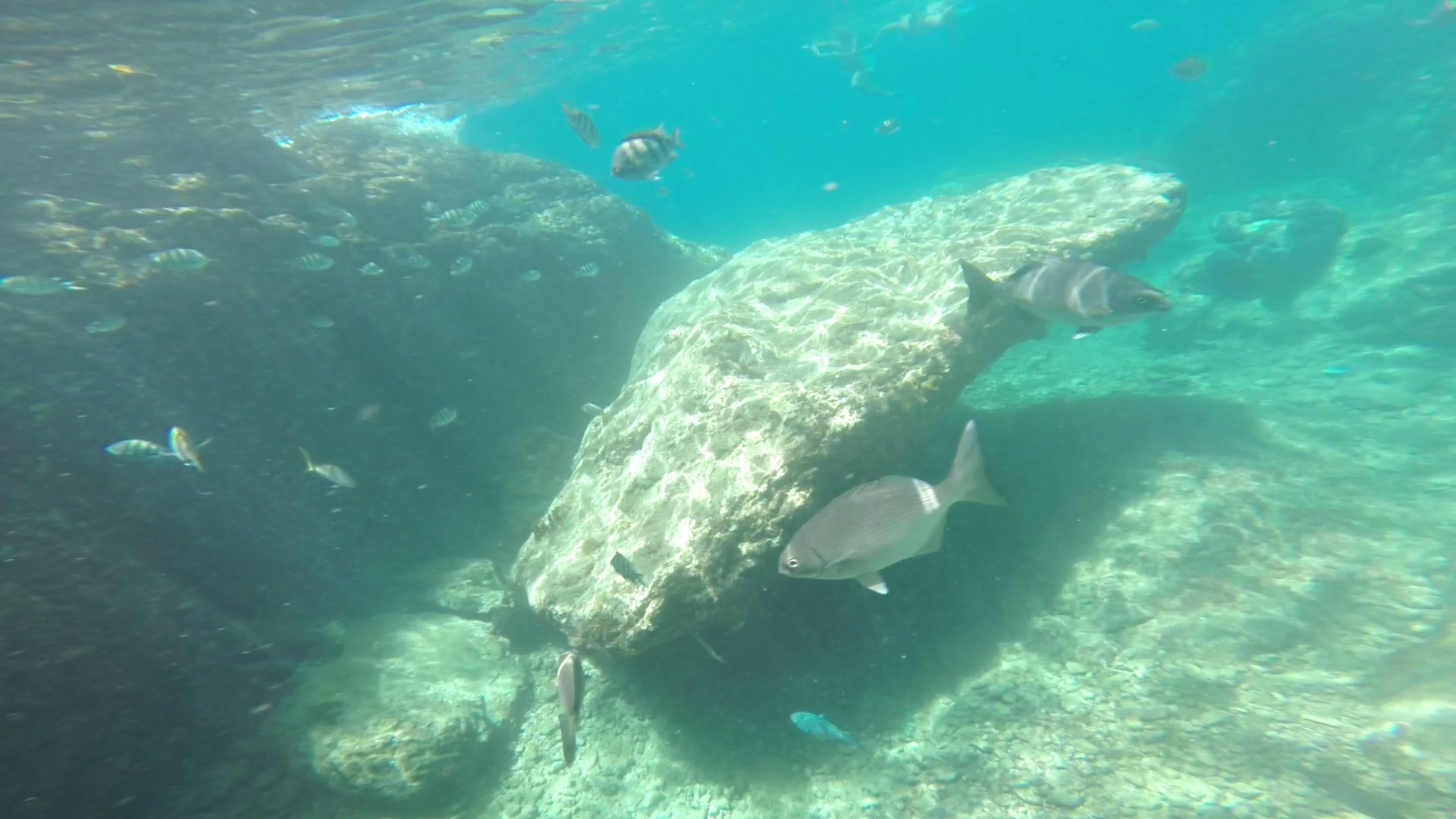
Superb snorkeling (Katiche Point, Cooper Island – The Baths, Virgin Gorda – The Indians, Pelican Island – Treasure Caves, Norman Island (aka “Treasure Island”)
Natural adventure playgrounds (The Baths, Virgin Gorda).
Relaxed beach clubs with decent food (Manchionel Bay, Cooper Island).

Marinas with beach, reef, sea, pool, wifi (Nanny Cay, Tortola).
Uncrowded anchorages with perfect beaches (Dead Man’s Bay – so-named after – as folklore would have it – 15 sailors marooned on Dead Man’s Chest, the island opposite, by the infamous Blackbeard with a bottle of rum, who failed to make it to shore).
Swings and roundabouts ….





























Des photos incroyables!!!quel bagage immense vos enfants(et vous) vont ramener avec eux!!! bravo bravo !!!
Grrrrrrr la correction orthographique qui propose des phrases bizarres…
Donc je corrige ma phrases : …dont on ne peut soupçonner l’existence …
C’est bien mieux !!😉
Nous sommes très heureux d’avoir des news et des magnifiques photos. 1000 mercis de nous faire voyager par procuration, dans des endroits aussi magnifiques que l’on ne peut soupçonner l’existence…
Et nous avons toujours une pensée pour les enfants et les parents fassent aux devoirs…quelle torture !!!
Nous vous embrassons bien fort et avons hâte de vous avoir, même 3 mn.
😘😘😘😘😘 et surtout pleins de baisers à ma ravissante Daisy qui est belle comme un ❤️. Ta marraine qui t’aime très très fort !!!
You both look so nice…. and the kids to. Enjoy your BVI’s stay.
Send us warm and sunny weather.
Xo
Quels merveilleuses images garderont vos enfants !
Un périple inoubliable tant au niveau de la connaissance des populations que des pays que vous rencontrez et visitez !
C’est un exceptionnel et inestimable cadeau que vous leur offrez !
Bravo
Une leçon de vie pour leur vie